Qızılağac Milli Parkında elektrik cərəyanı ilə ov edən şəxs saxlanılıb - FOTO

Qızılağac Milli Parkının ərazisində elektrik cərəyanı ilə ov edən şəxs saxlanılıb.
Bu barədə Avtosfer.az-a Daxili İşlər Nazirliyinin Mətbuat Xidmətinin Lənkəran regional qrupundan məlumat verilib.
Bildirilib ki, Su Nəqliyyatında Polis İdarəsinin Lənkəran Xətt Polis Şöbəsinin əməkdaşları tərəfindən Qızılağac Milli Parkının əməkdaşları ilə birgə qeyri-qanuni ovçuluq və balıqçılıqla məşğul olan şəxslərin aşkarlanması istiqamətində növbəti tədbir təşkil olunub.
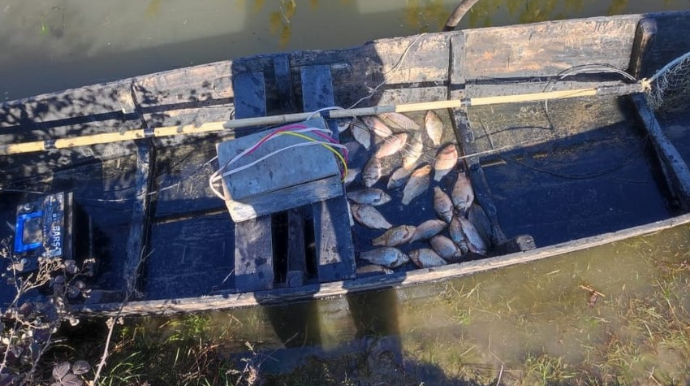
Keçirilən tədbir zamanı Milli Parkın ərazisindəki kiçik körfəz su sahəsində elektrik avadanlıqları ilə qanunsuz olaraq balıq ovlayan Lənkəran rayon sakini Eldəniz Niftullayev saxlanılıb.
Həmin şəxsdən ov zamanı istifadə etdiyi qayıq, elektrik avadanlıqları və digər ov alətləri, həmçinin qanunsuz olaraq ovladığı balıqlar aşkar olunaraq götürülüb. E.Niftullayevin təbiətə 1 023 manat dəyərində maddi ziyan vurduğu müəyyən edilib.
Faktla bağlı araşdırma aparılır














